Hydrographic and Geophysical Survey

Support your marine development with a comprehensive understanding of the seabed

 

Our experienced surveyors use chartered vessels, USVs and other specialist equipment to deliver quality visualisations and analysis of seabed depth and features

TALK TO A SPECIALIST

 

Hydrographic surveys are used to ascertain and map the depth and features of the seabed, while geophysical surveys quantify the physical properties of the seabed and sub-seabed geology.

With a fleet of purpose-built vessels based at major port locations throughout the UK, we undertake both nearshore and offshore hydrographic and geophysical surveys for baseline, monitoring and inspection purposes.

We undertake hydrographic surveys using high resolution multibeam and singlebeam bathymetry sensors interfaced with inertial navigation systems.

When we need to know and understand seabed and sub-seabed composition and conditions, we utilise a full spread of geophysical equipment in a single survey, including multibeam echosounders, side-scan sonars, sub-bottom profilers and magnetometers.

Where traditional vessel-methods are not practical due to shallow water depths or restricted manoeuvrability, we offer bespoke survey solutions using unmanned surface vehicles (USVs).

As well as conducting hydrographic and geophysical surveys, we deliver a full processing, reporting and charting service tailored to client requirements.

Seafloor mapping

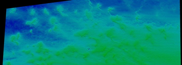
Multibeam bathymetry provides high resolution full coverage seafloor mapping (water depth) data. By surveying a wide swath of seafloor beneath the vessel, large areas can be covered efficiently.

As an alternative, single-beam bathymetry provides seafloor mapping data for a single profile beneath the vessel.

Seabed surface composition

Our multibeam systems are increasingly being used to source acoustic backscatter information; a powerful tool for characterising seabed surface composition.

Side-scan sonar systems offer seafloor composition imagery which can help detect debris items and obstructions that may cause a hindrance to construction activities.

Where objects protrude from the surface and cast shadows in the imagery, dimensions can be defined.

Sub-seabed characterisation

Our sub-bottom profilers provide information to identify and characterise layers of sediment or rock beneath the seabed. This is especially important for construction, cable and pipeline burial, and piling activities.

Buried objects

Magnetometers detect variations in the total magnetic field of the underlying seabed. An increased magnetic field can indicate the presence of ferrous iron on or beneath the seabed which may indicate shipwrecks or unexploded ordnance.

Paul Clement

Hydrographic and Geophysical
+44 (0)23 8071 1886

Application

  • Asset inspection
  • Baseline characterisation
  • Cable/pipeline installation and inspection
  • Dredge operations support
  • Environmental Impact Assessment (EIA)
  • Habitat mapping/classification
  • Habitat and condition monitoring
  • Marine licence support
  • Nautical charting
  • Navigational safety
  • Post-consent monitoring
  • Scour assessment
  • Seabed classification

Ready to talk about a survey?

GET IN TOUCH
Logo

Marine and Coastal Survey - part of ABPmer

Contact us

ABPmer
Quayside Suite
Medina Chambers
Town Quay
Southampton
SO14 2AQ

E-zine sign-up